Ismertető
BALATONUDVARIBAN BELTERÜLETI ÉPÍTÉSI TELEK ELADÓ
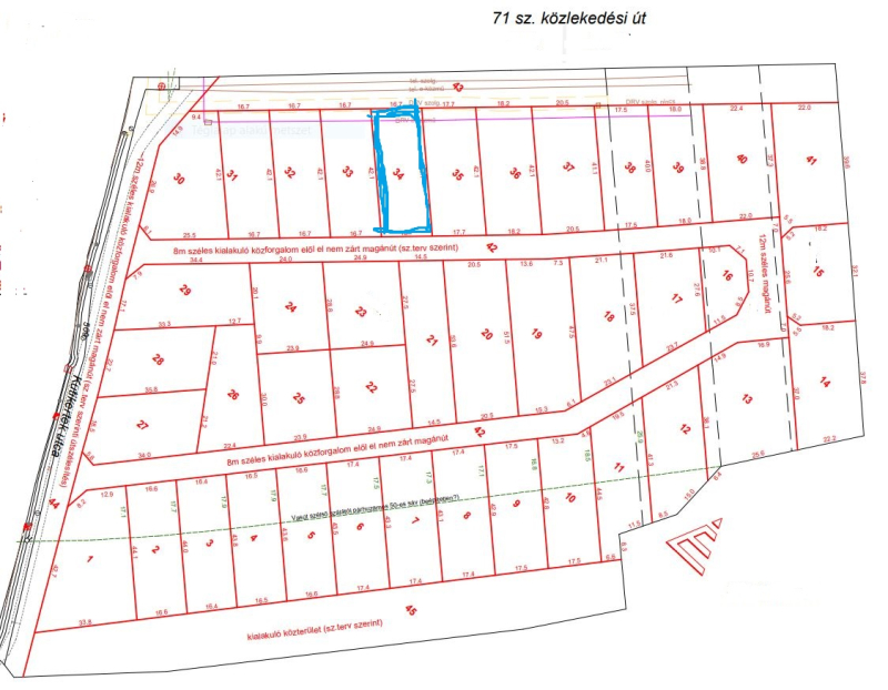
Udvari belterületén, a Keresztfa dűlőn, újonnan parcellázott 700 m2-es (16,7 m utcafronti szélességű) építési telket kínálunk eladásra, amelyről szép balatoni panoráma nyílik.
A teljes - újra felosztott - területen 45 db építési telek került kialakításra, közművesítése a telektulajdonosok összefogásával zajlik. A közeljövőben itt induló ingatlanfejlesztések egy remek elhelyezkedésű, újépítésű, lakóparkszerű településrészt hoznak létre Udvari keleti szélén, Örvényes határában.
A telek befektetésnek is kiváló. A Balatoni Golf Club 1 km, Udvari strand 500 m, Örvényes strand 1,9 km, vasútállomás 600 m, buszmegálló és élelmiszerbolt 600 m távolságra elérhető.
Lf4 falusias lakóterület övezetbe tartozik, ahol az elhelyezhető felépítmény: legfeljebb 1 db, 2 lakóegységet magában foglaló lakóépület lehet
- max. beépíthetőség 30 %, szabadon álló beépítési móddal
- min. zöldfelület 60 %
- max. épület magasság 4,5 m
Balatonudvari a Balaton északi partján, Balatonfüredtől 10 km-re, a Tihanyi-félsziget szomszédságában fekszik, csendes, nyugodt üdülőfalu. A településen két remek strand, kertmozi, nyári vendéglátóhelyek sokasága üzemel. Balatonfüred és Tihany közelsége biztosítja a pillanatok alatt elérhető infrastruktúrát, kulturális és sportolási lehetőségeket.
Építész- és ingatlanközvetítő irodánk minden hiteles szakmai segítséget meg tud adni, mellyel segíteni tudjuk döntését.
Kérje az ingatlan részletes tájékoztató anyagát!
Kövesse Balatoniingatlanguru facebook és balatoni_ingatlanguru instagram oldalunkat.
Hívjon bizalommal!
Balatoni ingatlanguru – több mint közvetítő
Részletek
-
Tájolás:
D -
Övezet:
lakó
